PENNSICWAR.ORGPENNSICWAR.ORG PENNSICWAR.ORG
>>> PENNSIC LAND TEST SITE <<<

Powered by FreeFind
.
  PW49 » Departments » Zoning and Planning (Land) » Pennsic War Official Land Maps » Block N23


Click on block map to view PDF file,
or choose another block from the menu above.
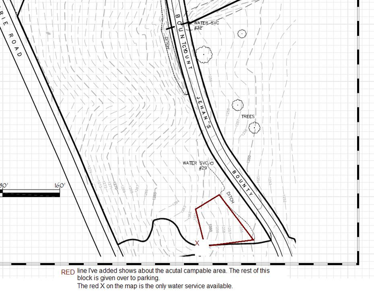
Pennsic 49 Block N23 Map


Quarterly argent and chequy vert and argent a golf cart contourné sable

Pennsic War is an annual event between the East and Middle Kingdoms of the Society for Creative Anachronism, Inc., and is hosted by the Kingdom of Æthelmearc at Coopers' Lake Campground.

To contact the webmaster, send email to: landweb@pennsicwar.org.

www.pennsicwar.org is the recognized web site for the Pennsic War of the Society for Creative Anachronism, Inc., and is maintained by Lord Randver Kveld-Ulfr web@pennsicwar.org. This page, https://land.pennsicwar.org , is part of the Land Agent site and is maintained by the Land Webminister(s).

This site may contain electronic versions of the group's governing documents. Any discrepancies between the electronic version of any information on this site and the printed version that is available from the originating office will be decided in favor of the printed version. For information on using photographs, articles, or artwork from this web site, please contact the Webminister. They will will assist you in contacting the original creator of the piece. Please respect the legal rights of our contributors.

Copyright © 2026 Pennsic War. The original contributors retain the copyright of certain portions of this site. The photo on this page is used by permission of Thorolfr inn smithr.